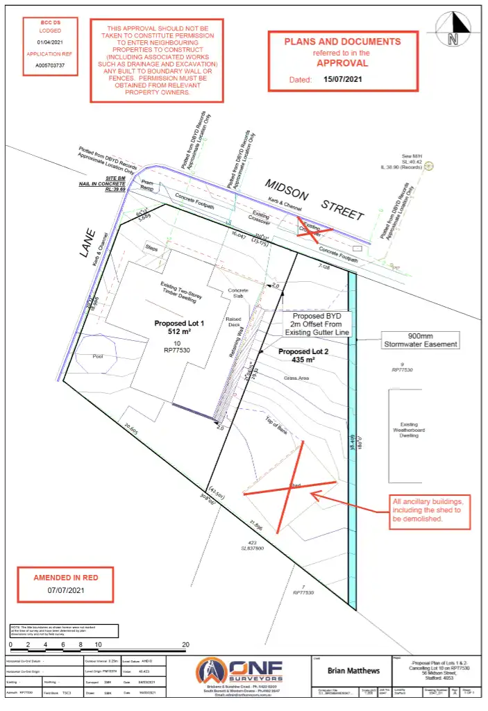
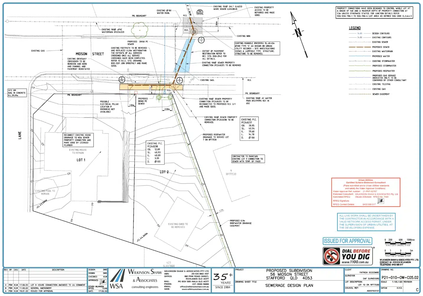
We obtained town planning approval for this 2-lot subdivision. Following approval, the client engaged us to coordinate the delivery of the subdivision to completion.
Our responsibilities included:
- developing and implementing a project plan
- tendering
- civil contractor selection
- management of civil contractor and civil engineer
Year: 2023
Project: 2 Lot Subdivision
Council: Brisbane City
Services: Town Planning | Project Management

